STIŽE JEDAN OD NAJJAČIH URAGANA U ISTORIJI: Jezivo upozorenje meteorologa – Spor je, to je strašna vest! Potražite skloništa, niko neće biti pošteđen (VIDEO)
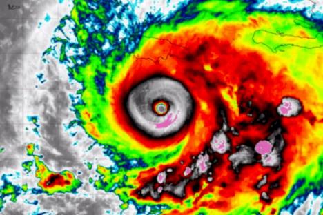
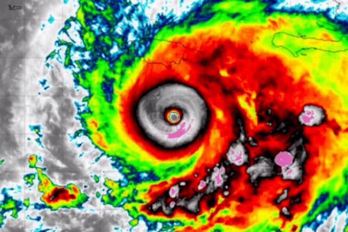
Nacionalni centar za uragane (NHC) upozorava da će Melisa pogoditi Jamajku u utorak ujutru kao najjači uragan koji je ikada pogodio ostrvo. Do sada je taj ozloglašeni rekord držao uragan Gilbert iz 1988. godine, sa udarima vetra do 210 km/h.
Tropska oluja Melisa se formirala kao grupa grmljavinskih oblaka kod zapadne obale Afrike, zatim je prešla Atlantik i razvila se u tropsku oluju severno od Venecuele 21. oktobra. Očekuje se 380 do 760 milimetara kiše, dok bi neka područja južnog Haitija i Jamajke mogla da dobiju više od 1.000 milimetara. Uragan se kreće veoma sporo, brzinom od samo nekoliko kilometara na sat, što povećava rizik od dugoročnog uništenja.
"Potražite sklonište sada", apeolovao je NHC u nedelju ujutru.
- Razorni vetrovi i obilne padavine u nedelju i ponedeljak izazvaće katastrofalne poplave i brojna klizišta pre nego što najjači vetrovi stignu u ponedeljak uveče i utorak ujutru.
Melisa već donosi obilne kiše i tropske olujne vetrove na Haiti, gde se očekuje da poplave i klizišta izazovu potencijalno smrtonosnu štetu, izvestio je CNN. Najmanje tri osobe su poginule na Haitiju, a četvrta u Dominikanskoj Republici, gde se još jedna osoba vodi kao nestala.
Melisa se trenutno kreće iznad neobično toplih okeanskih voda, koje su toplije od proseka za ovo doba godine, što dodatno podstiče i jača uragan. Tople okeanske vode podstiču jake grmljavine i uzlazne struje, zbog čega je Melisa razvila jasno, pravilno oko, znak da je u pitanju potpuno formiran i veoma moćan sistem.
Prognostičari predviđaju da će Melisa zadržati svoju razornu moć i veoma sporo se kretati ka Karibima tokom narednih nekoliko dana, povećavajući rizik od dugoročnih poplava i razaranja. Melisa bi potom mogla da pogodi jugoistočnu Kubu, gde se očekuju slične količine padavina od utorka uveče do srede.
Činjenica da je ovaj uragan neobično spor je dodatni problem.
- Nijedno područje neće biti pošteđeno razorne moći ovog uragana - rekao je u subotu Tompson iz Meteorološke službe Jamajke.
- Oluja će ostati iznad istog područja, donoseći obilne padavine dok se jedva kreće - što je ozbiljan izazov, ako se prognoze ostvare“, upozorio je.
Prema prognozama, najviši olujni talasi bi mogli dostići visinu između 2,7 i 4 metra, posebno u područjima istočno od mesta gde se očekuje da će centar uragana Melisa stići do kopna. Sa porastom nivoa mora, očekuju se i veliki, razorni talasi koji bi mogli dodatno pogoršati situaciju u priobalnim područjima.
Meteorolozi kažu da Melisa neće direktno pogoditi Sjedinjene Države, jer će je drugi atmosferski sistem duž istočne obale sledeće nedelje preusmeriti ka otvorenom moru.
(Kurir.rs/Index)