Nepogoda Haijan odnela četiri života, dok je sedmoro ljudi povređeno, a zbog rušenja i pojave klizišta strahuje se da je broj žrtava veći
HAOS: Najbrži tajfun u istoriji razrušio Filipine! Foto: Beta Ap, Rojter

MANILA - Stravično.
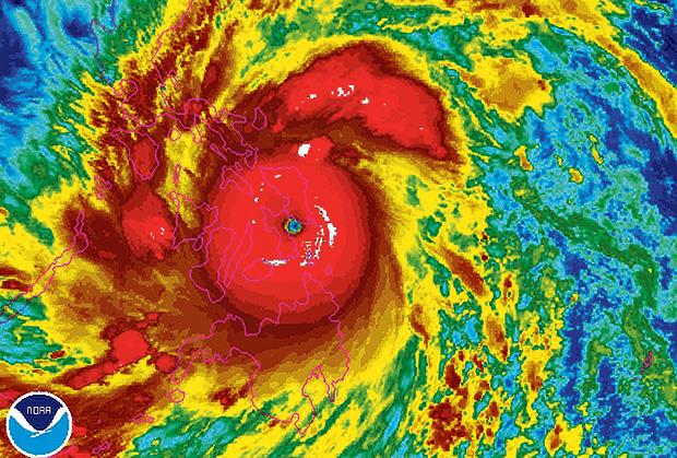
Stravičan tajfun Haijan pogodio je Filipine i odneo četiri života, dok je sedmoro ljudi povređeno. Brzina njegovog vetra iznosila je čak 380 kilometara na sat, zbog čega je zabeležen kao najbrže nevreme te vrste koje se ikad dogodilo na Zemlji.

Razrušeni objekti

Na sve strane leteli su krovovi, rušene kuće, čupano drveće i bandere i dalekovodi, hiljade nesrećnih ljudi moralo je da napusti domove, a bilo je i onih koji nisu uspeli da stignu na bezbedno.

Dvoje ljudi poginulo je od udara struje kad je snažni ciklon petog, najvišeg stepena srušio dalekovod, dok je treća osoba stradala od udara groma. Pored toga, na jednog muškarca srušilo se drvo i nije mu bilo spasa. Više od 12 miliona ljudi je u poziciji da im oluja ugrozi život, a oko 125.000 Filipinaca evakuisano je u skloništa. Međutim, vlasti te zemlje ističu da je pod znakom pitanja da li bilo koje mesto koje nije ukopano duboko u zemlju može da spase nesrećne ljude jer je, kako inženjeri kažu, vetar te brzine u stanju da ogromnim pritiskom sruši sve pred sobom.

Talasi 15 metara

Mnoge telefonske linije prekinute su u prvom udaru vetra na južnom delu ostrva Samar, koji je zatim prešao na ostrvo Lejte. Na njegovom jugu nastala su ogromna klizišta, koja su zarobila ljude iz ruralnih područja, pa se strahuje da je broj žrtava mnogo veći. U isto vreme obale Filipina zapljuskivali su džinovski talasi od čak 15 metara, a na pojedinim mestima kiša je napadala i do 40 centimetara.

- Očekujemo da će Haijan napraviti još mnogo štete i, nažalost, usmrtiti još mnogo ljudi - rekla je Ana Lindenfors iz organizacije „Spas za decu Filipina“.

Najpoznatiji tajfuni

- najsmrtonosniji tropski ciklon Bola formirao se 12. novembra 1970, kad je u Bengalskom zalivu odneo više od 300.000 života
- tajfun s najvećim pritiskom nastao je 12. oktobra 1979, kad je na severozapadu Pacifika dostigao pritisak od 870 milibara
- tajfun/uragan Džon trajao je 31 dan, od 10. avgusta do 10. septembra 1994, najduže od svih, a pogodio je sever Tihog okeana
- najveći tajfun nastao je 12. oktobra 1979, kad su njegovi vetrovi harali na udaljenosti od čak 2.200 kilometara od centra nevremena

Stravične posledice nevremena

Svake godine Filipinima projuri oko 20 tajfuna. U jednom od najopasnijih nevremena 2011. tropski vetar Vaši usmrtio je 1.200 ljudi, primorao na raseljavanje porodice iz 300.000 kuća, a u potpunosti uništio 100.000 domova. U septembru je tajfun pete kategorije Usagi zahvatio severno ostrvo Batenes, a zatim pogodio i Kinu. Bopa je prošle godine sravnila tri obalska grada na ostrvu Mindano, 1.100 lokalaca je stradalo, a materijalna šteta je iznosila 750 miliona evra.