Neverovatno i zastrašujuće
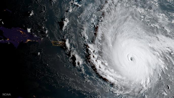
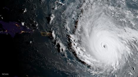
IRMAGEDON: Ovo su svi rekordi koje je oborio najsnažniji uragan u istoriji
Irma je na svom putu preko Kariba i SAD izazvala velike štete koje će se procenjivati mesecima, dok će oporavak trajati godinama.
Ovaj razorni uragan oborio je i niz meteoroloških rekorda dok nije oslabio na nivo tropskog ciklona u ponedeljak, a objavili ih je Univerzitet u Koloradu.
(Kurir.rs/24sata.hr)
(Foto: Reuters)