Rušilački pohod
(VIDEO) OD NJEGA STRAHUJU: Najveća oluja ove godine udarila Tajvan i preti Kini
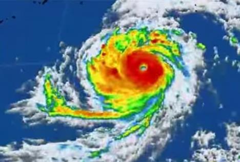
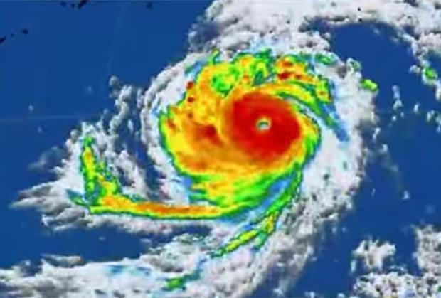
Supertajfun Sudelor udara sa 260 km na sat i diže talase od 14 metara
BEOGRAD - Supertajfun Sudelor, koji je upravo opustošio ostrvo Sajpan na zapadu Pacifika, obrušio se na Tajvan s udarima vetra od 260 kilometara na sat.
Sudelor zovu najvećom ovogodišnjom olujom na svetu i kažu da je jači od ciklona Pam, koji je pre pet meseci usmrtio 15 ljudi u Vanuatuu.
Sudelor je malo oslabio - sa 354 kilometra na sad na 260 - ali talasi koje podiže visoki su 14 metara.
Ako ne bude usporio, Tajvanu i Kini, na koju će se sledeću nameračiti, prete velika razaranja, verovatno i ljudske žrtve.
Evo kako je opustošio ostrvo Sajpan: