ŠTIMAC GRADIO NA DIVLJE, MOLIO VUČIĆA ZA DOZVOLU, ODBIJEN PA POČEO DA PLJUJE VLAST: Iza "borbe za pravdu i istinu" stoje samo lični interesi bivšeg košarkaša
Jedan od najglasnijih i najagresivnijih na protestima opozicije, bivši košarkaš Vladimir Štimac, koji pod izgovorom borbe za građane mesecima predvodi gotovo sve blokade širom Srbije, zapravo pokušava da na ulici smeni vlast koja nije izašla u susret njegovim nelegalnim poslovima. Prema saznanjima Kurira, ovaj veliki borac za pravdu izgradio je u beogradskom naselju "Altina" zgradu na "divlje", a kada su mu propali pokušaji da izmoli od predstavnika vlasti legalizaciju tog objekta, on se obrušio na njih na ulici misleći valjda da će s promenom vlasti neko drugi izaći u susret njegovim ličnim inetersima.
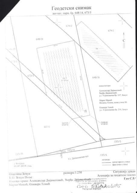
Naime, Štimac je u naselju Altina 2020. godine započeo izgradnju zgrade od pet spratova, osnove 387 kvadratnih metara. Pritom, delom zgrade Štimac se po svemu sudeći proširio i na obližnji put koji je državni.
Elem, kako se jedan deo zgrade ne vidi dobro na satelitskom snimku u koji je naša redakcija imala uvid, postavlja se pitanje: da li se deo objekta nalazi na nekategorisanom putu koji je uknjižen u katastar kao vlasništvo Republike Srbije?
Pitanje broj 2 je: Da li time Štimac ugrožava opšte funkcionisanje tog dela naselja, ali i širi nezakonito postupanje?
U Katastru se takođe može jasno videti da je ovaj stambeno-poslovni objekat izgrađen bez odobrenja za izgradnju. Takođe, sve ovo budi opravdau sumnju da objekat uopšte ispunjava sve urbanističke uslove, kao i da je prošao uopšte uslove za dozvole protivpožarne zaštite i ostale bezbednosne procedure.
Imajući sve u vidu, jasno je da ovaj objekat, koji se prostire na dve parcele, ne ispunjava uslove za ozakonjenje, te bi mogao lako da bude odbijen za legalizaciju ali i srušen.
Zato je Štimac pokušao da urgira kod nadležnih da "pogura" njegovo ozakonjenje. Prema našim saznanjima, u tim pokušajima stigao je čak i do predsednika Srbije Aleksandra Vučića kako bi mu u tome pomogao, ali, po svemu sudeći, uzalud.
Očigledno se zato Štimac, vodeći se isključivo ličnim i finansijskim interesima i motivima, okrenuo drugoj strani, verujući valjda da će oni imati više razumevanja za njegove nezakonite radnje i biti radi da mu pomognu da ga uvedu u legalne tokove. I tako su oni, koji nisu pali na njegove molbe, preko noći postali fašisti i diktatori, što ovaj veliki borac za pravdu ne propušta da kaže svakom prilikom koja mu se ukaže.
Inače, Vladimir Štimac je ne samo najglasniji na protestima opozicije, već i jedan od najagresivnijih i najvulgarnijih, te ne štedi pogrdne reči na račun građana koji se bune zbog blokada, pritom sa sve skupim "roleks" satom na ruci.
Kurir Politika

